1 Photos
Last Updated : 71 Days ago
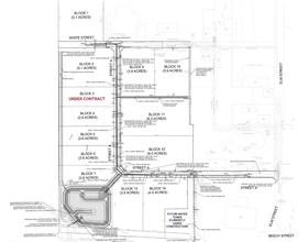
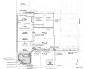
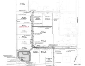
2086 SHANLY Road
807 - Edwardsburgh/Cardinal Twp, Edwardsburgh/Cardinal, Leeds and Grenvi, ON
MLS® X9515751
Commercial (Land)
$400000.0
Located at 2086 Shanly Road in Cardinal, Ontario, this 32.286 acre parcel of land presents an ideal canvas for development. This site is well located





























Fred_Jones_Rd-Haliburton-Ontario-K0M_1S0-X9378464-0.jpeg?aio=w-280;h-220;crop;)






























































