4 Photos
Last Updated : 86 Days ago
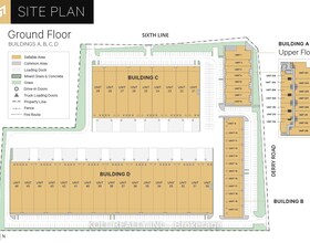
Unit-203, 50 Steeles Avenue
1034 - MN Milton North, Milton, Halton, ON
MLS® W12076824
Commercial (Office)
$349999.0
Welcome To Milton's 401 Business Park. This Second Floor Office Space Features An Open Concept Fantastic For A Reception Plus Seating Area Along With

































