4 Photos
Last Updated : 510 Days ago
0 Currie Rd
Dutton, Dutton/Dunwich, Elgin, ON
MLS® X11897800
Commercial (Land)
$5500000.0
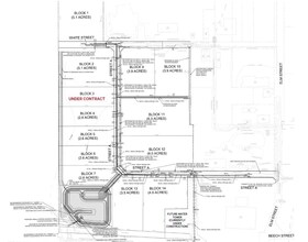
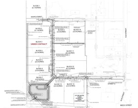
Located at the prime intersection of Currie Road and Pioneer Line in Dutton, Ontario, this 14-acre parcel is a rare commercial development opportunity












































































