Skip to main content
Sell Your Home
Shortlisted Properties
  • New Homes
  • For Sale
  • For Rent
Danger! Indicates a dangerous or potentially negative action.
Error

Maximum 4 project can be compared at one go.

Last Updated : 15 Days ago
621A Cook Road, Marmora and Lake, ON,
Photo Gallery
+ 1 Photos

621A Cook Road, Marmora and Lake MLS Number: X12247207

Marmora and Lake, Hastings, ON, K0K 2M0

$599,900

Price drop by $50,000

Status: For Sale

  • Property Type: Residential Freehold (Vacant Land)
  • Property Taxes : $0.0 (Tax Year:2025)
  • Listing Courtesy : Royal Lepage Proalliance Realty

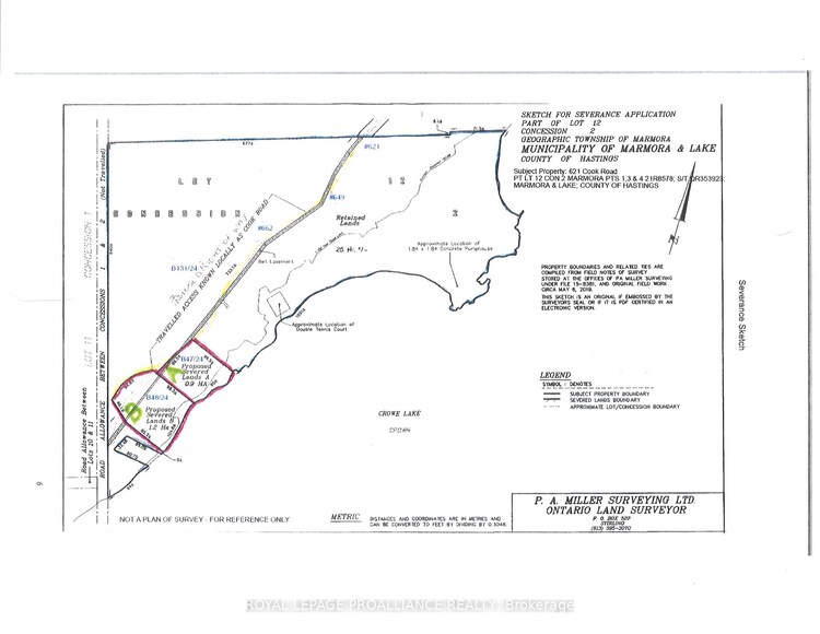
621A Cook Road Property Description

Crow Lake Waterfront Lot - Build your Forever Home. Don't miss this rare opportunity to build your dream home on a stunning 2.2 acre waterfront lot overlooking beautiful Crowe Lake-one of Eastern Ontario's most desirable lakes. Nestled among mature trees, this elevated lot offers a bird's-eye view of the water and the freedom to create your own private retreat with flexible building site options. Enjoy a natural rock and sandy shoreline with safe, clear swimming on this pristine lake. The property includes deeded access ia a year-round private road that connects to a municipally maintained road, just 6km from the Village and Highway 7. Ideally located halfway between Toronto and Ottawa, and only 30 minutes north of Belleville, this is the perfect balance of seclusion and convenience. Severance has been approved and the zoning change will be competed prior to closing. All offers conditional upon the finalization of severance and rezoning. Seller is a licensed real estate registrant. Taxes not yet assessed.

Read More

621A Cook Road Property Facts

Property Type :Residential Freehold
MLS Number :X12247207
Listing Type :Sale
Possession Date :
know more link icon
Last Updated :19 Nov, 2025 (15 Days ago)
Source :Toronto Regional Real Estate Board
Area :Hastings
Postal Code : K0K 2M0

621A Cook Road Property Price & Tax Insights

Price : $599,900
Property Taxes :$0.0
Tax Year :2025

621A Cook Road, Marmora and Lake Property Details

Cross Street :Glen Allen Rd
Bathrooms :0

621A Cook Road, Marmora and Lake - Price History

2025-07

19 Jul, 2025

TREB #X12247207

Price Change

$599900.0

property sold history blur background
View More

Sign in to view full price history of this property

  • 0
  • 400k
  • 800k
  • 1.2M
  • 1.6M
  • 2M+
  • 0
  • 6
  • 12
  • 18
  • 24
  • 30+
  • 0
  • 6
  • 12
  • 18
  • 24
  • 30+

621A Cook Road - Location Map and Landmarks

Last Updated : 63 Days ago
621B Cook Road, Hastings, ON
$499000.0
Distance : 0 metre
Last Updated : 74 Days ago
283A Marble Point Road, Hastings, ON
$649999.0
  • < 700 sq-ft
Distance : 2595 metre
Last Updated : 74 Days ago
283B Marble Point Road, Hastings, ON
$749999.0
  • < 700 sq-ft
Distance : 2820 metre
Last Updated : 1 Day ago
73 Cameron Street, Hastings, ON
$499000.0
  • 3 Bd
  • 2 Ba
  • 1500-2000 sq-ft
Last Updated : 4 Days ago
23 O'Brien Street, Hastings, ON
$269000.0
  • 3 Bd
  • 1 Ba
  • 700-1100 sq-ft
Last Updated : 29 Days ago
69 Booster Park Road, Hastings, ON
$467500.0
  • 2 +1 Bd
  • 1 Ba
  • 1100-1500 sq-ft
Last Updated : 51 Days ago
8 North Maloney Street, Hastings, ON
$419900.0
  • 3 Bd
  • 3 Ba
  • 1500-2000 sq-ft
Last Updated : 62 Days ago
260 James Street, Hastings, ON
Last Updated : 71 Days ago
4 Lakeshore Road, Hastings, ON
$499900.0
  • 2 +1 Bd
  • 2 Ba
  • < 700 sq-ft
Last Updated : 71 Days ago
27 South Maloney Street, Hastings, ON
$539900.0
  • 3 +1 Bd
  • 2 Ba
  • 700-1100 sq-ft
Last Updated : 71 Days ago
109 Forsyth Street, Hastings, ON
$530000.0
  • 3 +1 Bd
  • 2 Ba
  • 1100-1500 sq-ft
Last Updated : 74 Days ago
2965 Centre Line Road, Hastings, ON
$1199000.0
  • 4 +1 Bd
  • 3 Ba
  • 2500-3000 sq-ft
Recently Viewed

Buildings in Marmora and Lake

199 Front St

199 Front St

Hastings
  • 8 For Sale
  • 6 For Rent
View Building Details

FAQs: 621A Cook Road, Marmora and Lake

  • Q: Does this Project 621A Cook Road available for Sale ?

    A: The project 621A Cook Road is readily available for Sale and can be purchased at competitive prices today. You can schedule a tour or request a call back for knowing further.
  • Q: How far is this property from my workplace?

    A:You can calculate your travel time and see how this property is far from your Office, your spouse's workplace or your kid's school. You just need to tell us which places you commute to frequently and Square Yards will tell you how far they are from this property.
  • Q:What are the Key Features 621A Cook Road is Offering?

    A:Square Yards is giving a Cashback of $3,000 if you buy this property from us, however there are several key features offered by the 621A Cook Road. You get + Beds with 0 Bath, central air conditioning, parking space and garage along with a heating system, basement, gas fuel system and balcony.
  • Q:How many Parking Space available in this 621A Cook Road?

    A: 621A Cook Road in Hastings offers a total of 4 parking spaces for residents.
  • Q:How many Beds & Baths available in 621A Cook Road, Hastings?

    A: 621A Cook Road, Hastings comes with + Beds for maximum convenience and space. There are 0 baths available as well for when you have guests over or if you have a large family!
  • Q:How many Apartments and Condos are available for Sale in Hastings, On?

    A:Hastings, ON is one of the biggest real estate markets in Canada. There are several options available here pertaining to condos and apartments alike. There are approximately apartments and condos available currently for your perusal.
Related to your search

Tell us a Little about yourself!