Skip to main content
Sell Your Home
Shortlisted Properties
  • New Homes
  • For Sale
  • For Rent
Danger! Indicates a dangerous or potentially negative action.
Error

Maximum 4 project can be compared at one go.

Property Image
5

South Cornell Homes 7077 Highway 7, York, Ontario, L6B 1A8

For Sale From $1,159,900 - $2,064,990
i
The prices displayed are indicative and based on recent updates. Please note that current prices may vary due to market conditions.
  • Residential Icon
    Residential
  • Comercial Icon
    Commercial
  • Institutional Icon
    Institutional
  • project status
    Project Status : Pre-Construction
  • developer img
    Developer : Lindvest Properties
project size image
Project Size
  • 1231 Units
project size image
Home Types
  • Townhouses
building outline
Property Mix
  • Floor plans coming soon
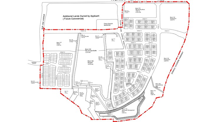
  • South Cornell Homes - Project Description

    Welcome to South Cornell Homes, an exciting pre-construction residential project located at 7077 Highway 7 York. This development features a mix of 1,231 units, including seniors homes, detached houses, townhouses, and public spaces. Designed by the esteemed RAW Design and developed by Lindvest Properties, South Cornell Homes promises a vibrant community for all residents.

    Situated in the desirable Cornell neighborhood, this project is close to essential amenities, including top hospitals like Markham Stouffville and Scarborough Health Network – Centenary. Families will appreciate the proximity to reputable schools such as Academic Vision and Cambridge Academy, making it an ideal place to live for all ages. Discover the future of living at South Cornell Homes today!

    South Cornell Homes - Unit Plans

    Armadale TH
    zoom in
    Armadale TH
    • 3 Beds
    • 2.5 Baths
    • 1916 Sq. Ft.
    Price On Request
    Augustine TH
    zoom in
    Augustine TH
    • 3 Beds
    • 3 Baths
    • 1896 Sq. Ft.
    Price On Request
    Berczy TH
    zoom in
    Berczy TH
    • 3 Beds
    • 2.5 Baths
    • 1959 Sq. Ft.
    Price On Request
    Bullock TH
    zoom in
    Bullock TH
    • 3 Beds
    • 3 Baths
    • 2259 Sq. Ft.
    Price On Request
    Crothers TH
    zoom in
    Crothers TH
    • 3 Beds
    • 3 Baths
    • 2259 Sq. Ft.
    Price On Request
    Hogarth TH
    zoom in
    Hogarth TH
    • 3 Beds
    • 3 Baths
    • 2147 Sq. Ft.
    Price On Request
    Milliken TH
    zoom in
    Milliken TH
    • 3 Beds
    • 3 Baths
    • 2144 Sq. Ft.
    Price On Request
    Ressor TH
    zoom in
    Ressor TH
    • 3 Beds
    • 3 Baths
    • 2314 Sq. Ft.
    Price On Request

    Deposit Structure

    • Lindvest Deposit Structure
    • Initial Deposit: $20,000
    • $20,000 in 30 days
    • $20,000 in 60 days
    • $20,000 in 90 days
    • $20,000 in 120 days
    • $20,000 in 180 days
    • Country Wide Townhome Deposit Structure
    • $25,000 with Offer
    • $25,000 in 30 Days
    • $25,000 in 60 Days
    • $25,000 in 90 Days
    • $50,000 in 120 Days
    • Country Wide Singles Deposit Structure
    • $50,000 with Offer
    • $50,000 in 60 Days
    • $50,000 in 90 Days
    • $50,000 in 150 Days
    • $50,000 in 365 Days

    South Cornell Homes - Total Units

    Total Number of Units 1231

    South Cornell Homes - Project Attributes

    Building Units 450, 270, 190, 162, 80, 79
    Rishi Raj Tiwari
    Sales Representative / Broker
    64X-49X-XXXX

    South Cornell Homes - Development Team

    DEVELOPER
    Lindvest Properties
    • Total Projects 9
    • Pre Construction 5
    • Under Construction 1
    • Completed 3
    ARCHITECT
    RAW Design
    • Total Projects 163
    • Pre Construction 89
    • Under Construction 24
    • Completed 50

    About Developers

    Total Project 9
    A Toronto-based real estate development organization with deep roots, spanning six decades in the award-winning, highly-reputed H&R family of companies, Lindvest has designed and built diverse, successful developments in neighbourhoods and towns across the Greater Toronto Area. As a company, Lindvest strives for excellence in all spheres of its business. Since our inception in 1998, we have been recognized for our excellence in planning, progressive urban design and high standards of construction, and have been successful in carving a niche in the competitive GTA new home market. Another enduring value in the Lindvest universe is customer service. To fuel growth and success, we invest heavily in customer service. From the quality of our homes to our interactions with shoppers, buyers and owners, keeping you satisfied is paramount for us. Whether it's a charming subdivision in a pristine setting or an iconic high-rise in the city, our award-wining communities are as vibrant and unique as the people who live in them. From convenient locations and beautiful settings to innovative designs and luxurious finishes, every detail of a Lindvest neighbourhood is rooted in our passion to help better your life.
    Projects by Status
    • Pre Construction 5
    • Under Construction 1
    • Completed 3

    South Cornell Homes - Location Map and Landmarks

    • Academic Vision, York 3.16 km
    • Cambridge Academy, York 3.42 km
    • Alliance Coaching Academy, York 5.22 km
    • Brooklyn, York 5.22 km
    • Ism Elementary School, York 5.33 km
    • Islamic Institute Of Academy, Toronto 6.61 km
    • Carlton Prep Academy, York 6.82 km
    • Whitefield Christian Schools, Toronto 6.86 km
    • Somerset Academy, York 7.0 km
    • Alathena International Academy Brimley, Toronto 7.16 km
    • Markham Stouffville, York 1.18 km
    • Scarborough Health Network – Centenary, Toronto 10.88 km
    • Rouge Valley Health System Hospital, Toronto 10.93 km
    • Scarborough Health Network – Birchmount, Toronto 11.08 km
    • Scarborough Health Network - Scarborough General, Toronto 13.73 km

    South Cornell Homes - Neighborhood Brief

    Cornell, York
    Cornell, York A relatively new village in Ontario, the Cornell neighbourhood is located in northeast Markham and is accessible by Highway 407. It was first established in the 1990s and is named after William C. Cornell, who arrived in Canada in 1799 and was an early settler of the Markham region. Cornell is designed as a self-sustained community and features several top-notch schools, a variety of recreational activities, shopping areas, and hospitals. The area also boasts a state-of-the-art community centre, performance hall, and many other facilities. The houses are a mix of townhouses, detached, and semi-detached homes. The architecture carries a Victorian essence, and most homes have a front porch, giving them a welcoming and warm vibe. All of these make the Cornell neighbourhood popular among investors and people looking to settle in a community where all the amenities are available without having to commute for long hours.

    Similar Pre-Construction Projects Near by South Cornell Homes

    Kingdom Markham Phase 4
    Kingdom Markham Phase 4 4121 Highway 7 East, Markham
    Price On Request
    Pre-Construction
    Seaton Sideline 22
    Seaton Sideline 22 Whitevale Road, Pickering
    Price On Request
    Pre-Construction
    Nao Towns
    Nao Towns 5112 14th Avenue, Markham
    Price On Request
    Pre-Construction
    Orchid Condominiums
    Orchid Condominiums 8293 Warden Avenue, Markham
    Price On Request
    Pre-Construction
    Remington Centre
    Remington Centre 4390 Steeles Avenue East, Markham
    Price On Request
    Pre-Construction
    Forestville Villages (Stouffville)
    Forestville Villages (Stouffville) 11776 Ontario 48, Whitchurch-Stouffville
    Price On Request
    Pre-Construction
    Fairtree On The Pond
    Fairtree On The Pond 6350 Steeles Avenue East, Markham
    Price On Request
    Pre-Construction
    Hildebrand Gardens
    Hildebrand Gardens 3912-3928 Highway 7, Markham
    Price On Request
    Pre-Construction
    Cornell Centre
    Cornell Centre Highway 7 & Arthur Bonner Avenue, Markham
    Price On Request
    • 1 Bed(238)
    • 2 Bed(228)
    Pre-Construction
    Stouffville Meadows (Markham)
    Stouffville Meadows (Markham) 11621 Ontario 48, Whitchurch-Stouffville
    Price On Request
    Pre-Construction

    Buildings Near by South Cornell Homes

    9560 Markham Rd
    9560 Markham Rd Wismer, York
    • 2 For Sale
    • 2 For Rent
    9700 Ninth Line
    9700 Ninth Line Greensborough, York
    • 1 For Sale
    • 3 For Rent
    9582 Markham Rd
    9582 Markham Rd Wismer, York
    • 1 For Sale
    • 2 For Rent
    1 Climo Lane
    1 Climo Lane Wismer, York
    • 1 For Sale
    9506 Markham Rd
    9506 Markham Rd Wismer, York
    • 1 For Rent
    85 The Boardwalk Way
    85 The Boardwalk Way Greensborough, York
    • 1 For Sale
    2 Dunsheath Way
    2 Dunsheath Way Cornell, York
    • 1 For Sale
    50 Dunsheath Way
    50 Dunsheath Way Cornell, York
    15 Westmeath Lane
    15 Westmeath Lane Cornell, York
    55 Lindcrest Manr
    55 Lindcrest Manr Cornell, York
    30 Dunsheath Way
    30 Dunsheath Way Cornell, York
    30 Westmeath Lane
    30 Westmeath Lane Cornell, York
    Disclaimer
    This website ("www.squareyards.ca") is intended solely for informational purposes regarding real estate projects in various locations. Any information provided on this website does not constitute an advertisement or solicitation. Square Yards Real Estate Inc ("The Company") does not guarantee the accuracy of the information or the compliance of the projects. The Company makes every effort to ensure accurate information, however, we are not liable for the consequences of any use or misuse of the site's information. The information on www.squareyards.ca is neither intended to be nor substitute a professional legal, tax, investment or accounting advice. We strongly recommend users to obtain independent legal, tax, investment or accounting advice before acting on any information on this website. The information displayed on www.squareyards.ca is for reference only. Please read our Terms and Conditions for better understanding of our products & offerings and exceptions thereof.
    Tell us a Little about yourself!